Obowiązujące plany zagospodarowania przestrzennego


 

Wykaz dokumentów dotyczących miejscowych planów zagospodarowania przestrzennego Gminy Raba Wyżna.

ZMIANA MIESCOWEGO PLANU ZAGOSPODAROWANIA PRZESTRZENNEGO WSI PODSARNIE W GMINIE RABA WYŻNA WRAZ Z PROGNOZĄ ODDZIAŁYWANIA NA ŚRODOWISKO

12‑09‑2018 13:53:52

 - Tekst ustaleń zmiany planu zagospodarowania przestrzennego wsi Podsarnie w Gminie Raba Wyżna

- Załączniki graficzne projektu zmiany planu wsi Podsarnie w Gminie Raba Wyżna

- Tekst prognozy oddziaływania na środowisko

- Rysunki prgnozy oddziaływania na środowisko

Dokumenty:
Plik pdf 2018.09.05_ustalenia Podsarnie.pdf
12‑09‑2018 14:22:07
Trwa wczytywanie metryki. Proszę czekać.
Typ dokumentu:
application/pdf
Rozmiar:
186KB
Liczba pobrań:
Trwa wczytywanie
Plik pdf Załącznik nr 1.pdf
12‑09‑2018 14:22:07
Trwa wczytywanie metryki. Proszę czekać.
Typ dokumentu:
application/pdf
Rozmiar:
1,3MB
Liczba pobrań:
Trwa wczytywanie
Plik pdf Załącznik nr 2.pdf
12‑09‑2018 14:22:07
Trwa wczytywanie metryki. Proszę czekać.
Typ dokumentu:
application/pdf
Rozmiar:
1,3MB
Liczba pobrań:
Trwa wczytywanie
Plik pdf Załącznik nr 3.pdf
12‑09‑2018 14:22:07
Trwa wczytywanie metryki. Proszę czekać.
Typ dokumentu:
application/pdf
Rozmiar:
841KB
Liczba pobrań:
Trwa wczytywanie
Plik pdf Załącznik nr 4.pdf
12‑09‑2018 14:22:07
Trwa wczytywanie metryki. Proszę czekać.
Typ dokumentu:
application/pdf
Rozmiar:
964KB
Liczba pobrań:
Trwa wczytywanie
Plik pdf Załącznik nr 5.pdf
12‑09‑2018 14:22:07
Trwa wczytywanie metryki. Proszę czekać.
Typ dokumentu:
application/pdf
Rozmiar:
1,2MB
Liczba pobrań:
Trwa wczytywanie
Plik pdf Załącznik nr 6.pdf
12‑09‑2018 14:22:07
Trwa wczytywanie metryki. Proszę czekać.
Typ dokumentu:
application/pdf
Rozmiar:
1,8MB
Liczba pobrań:
Trwa wczytywanie
Plik pdf Załącznik nr 7.pdf
12‑09‑2018 14:22:07
Trwa wczytywanie metryki. Proszę czekać.
Typ dokumentu:
application/pdf
Rozmiar:
1,7MB
Liczba pobrań:
Trwa wczytywanie
Plik pdf 2018-09-05_PONS_ZMIANA_MPZP_PODSARNIE_TEKST.pdf
12‑09‑2018 14:22:07
Trwa wczytywanie metryki. Proszę czekać.
Typ dokumentu:
application/pdf
Rozmiar:
3MB
Liczba pobrań:
Trwa wczytywanie
Plik pdf 1.pdf
12‑09‑2018 14:22:07
Trwa wczytywanie metryki. Proszę czekać.
Typ dokumentu:
application/pdf
Rozmiar:
797KB
Liczba pobrań:
Trwa wczytywanie
Plik pdf 2.pdf
12‑09‑2018 14:22:07
Trwa wczytywanie metryki. Proszę czekać.
Typ dokumentu:
application/pdf
Rozmiar:
587KB
Liczba pobrań:
Trwa wczytywanie
Plik pdf 3.pdf
12‑09‑2018 14:22:07
Trwa wczytywanie metryki. Proszę czekać.
Typ dokumentu:
application/pdf
Rozmiar:
273KB
Liczba pobrań:
Trwa wczytywanie
Plik pdf 4.pdf
12‑09‑2018 14:22:07
Trwa wczytywanie metryki. Proszę czekać.
Typ dokumentu:
application/pdf
Rozmiar:
436KB
Liczba pobrań:
Trwa wczytywanie
Plik pdf 5.pdf
12‑09‑2018 14:22:07
Trwa wczytywanie metryki. Proszę czekać.
Typ dokumentu:
application/pdf
Rozmiar:
517KB
Liczba pobrań:
Trwa wczytywanie
Plik pdf 6.pdf
12‑09‑2018 14:22:07
Trwa wczytywanie metryki. Proszę czekać.
Typ dokumentu:
application/pdf
Rozmiar:
241KB
Liczba pobrań:
Trwa wczytywanie

ZMIANA MIEJSCOWEGO PLANU ZAGOSPODAROWANIA PRZESTRZENNEGO WSI SKAWA W GMINIE RABA WYŻNA WRAZ Z PROGNOZĄ ODDZIAŁYWANIA NA ŚRODOWISKO

12‑09‑2018 14:37:16

- Tekst ustaleń zmiany planu zagospodarowania przestrzennego wsi Skawa w Gminie Raba Wyżna

- Załączniki graficzne projektu zmiany planu wsi Skawa w Gminie Raba Wyżna

- Tekst prognozy oddziaływania na środowisko

- Rysunki prgnozy oddziaływania na środowisko

Dokumenty:
Plik pdf 2018.09.05_ustalenia Skawa.pdf
12‑09‑2018 14:40:45
Trwa wczytywanie metryki. Proszę czekać.
Typ dokumentu:
application/pdf
Rozmiar:
184KB
Liczba pobrań:
Trwa wczytywanie
Plik pdf Załącznik nr 1.pdf
12‑09‑2018 14:40:45
Trwa wczytywanie metryki. Proszę czekać.
Typ dokumentu:
application/pdf
Rozmiar:
908KB
Liczba pobrań:
Trwa wczytywanie
Plik pdf Załącznik nr 2.pdf
12‑09‑2018 14:40:45
Trwa wczytywanie metryki. Proszę czekać.
Typ dokumentu:
application/pdf
Rozmiar:
1,9MB
Liczba pobrań:
Trwa wczytywanie
Plik pdf Załącznik nr 3.pdf
12‑09‑2018 14:40:45
Trwa wczytywanie metryki. Proszę czekać.
Typ dokumentu:
application/pdf
Rozmiar:
608KB
Liczba pobrań:
Trwa wczytywanie
Plik pdf Załącznik nr 4.pdf
12‑09‑2018 14:40:45
Trwa wczytywanie metryki. Proszę czekać.
Typ dokumentu:
application/pdf
Rozmiar:
813KB
Liczba pobrań:
Trwa wczytywanie
Plik pdf Załącznik nr 5.pdf
12‑09‑2018 14:40:45
Trwa wczytywanie metryki. Proszę czekać.
Typ dokumentu:
application/pdf
Rozmiar:
937KB
Liczba pobrań:
Trwa wczytywanie
Plik pdf Załącznik nr 6.pdf
12‑09‑2018 14:40:45
Trwa wczytywanie metryki. Proszę czekać.
Typ dokumentu:
application/pdf
Rozmiar:
1MB
Liczba pobrań:
Trwa wczytywanie
Plik pdf Załącznik nr 7.pdf
12‑09‑2018 14:40:45
Trwa wczytywanie metryki. Proszę czekać.
Typ dokumentu:
application/pdf
Rozmiar:
1,9MB
Liczba pobrań:
Trwa wczytywanie
Plik pdf Załącznik nr 8.pdf
12‑09‑2018 14:40:45
Trwa wczytywanie metryki. Proszę czekać.
Typ dokumentu:
application/pdf
Rozmiar:
642KB
Liczba pobrań:
Trwa wczytywanie
Plik pdf Załącznik nr 9.pdf
12‑09‑2018 14:40:45
Trwa wczytywanie metryki. Proszę czekać.
Typ dokumentu:
application/pdf
Rozmiar:
1MB
Liczba pobrań:
Trwa wczytywanie
Plik pdf Załącznik nr 10.pdf
12‑09‑2018 14:40:45
Trwa wczytywanie metryki. Proszę czekać.
Typ dokumentu:
application/pdf
Rozmiar:
811KB
Liczba pobrań:
Trwa wczytywanie
Plik pdf Załącznik nr 11.pdf
12‑09‑2018 14:40:45
Trwa wczytywanie metryki. Proszę czekać.
Typ dokumentu:
application/pdf
Rozmiar:
748KB
Liczba pobrań:
Trwa wczytywanie
Plik pdf Załącznik nr 12_a.pdf
12‑09‑2018 14:40:45
Trwa wczytywanie metryki. Proszę czekać.
Typ dokumentu:
application/pdf
Rozmiar:
540KB
Liczba pobrań:
Trwa wczytywanie
Plik pdf Załącznik nr 12_b.pdf
12‑09‑2018 14:40:45
Trwa wczytywanie metryki. Proszę czekać.
Typ dokumentu:
application/pdf
Rozmiar:
7,7MB
Liczba pobrań:
Trwa wczytywanie
Plik pdf 2018-09-05_PONS_ZMIANA_MPZP_SKAWA_TEKST.pdf
12‑09‑2018 14:40:45
Trwa wczytywanie metryki. Proszę czekać.
Typ dokumentu:
application/pdf
Rozmiar:
3,4MB
Liczba pobrań:
Trwa wczytywanie
Plik pdf 1.pdf
12‑09‑2018 14:40:45
Trwa wczytywanie metryki. Proszę czekać.
Typ dokumentu:
application/pdf
Rozmiar:
361KB
Liczba pobrań:
Trwa wczytywanie
Plik pdf 2.pdf
12‑09‑2018 14:40:45
Trwa wczytywanie metryki. Proszę czekać.
Typ dokumentu:
application/pdf
Rozmiar:
487KB
Liczba pobrań:
Trwa wczytywanie
Plik pdf 3.pdf
12‑09‑2018 14:40:45
Trwa wczytywanie metryki. Proszę czekać.
Typ dokumentu:
application/pdf
Rozmiar:
225KB
Liczba pobrań:
Trwa wczytywanie
Plik pdf 4.pdf
12‑09‑2018 14:40:45
Trwa wczytywanie metryki. Proszę czekać.
Typ dokumentu:
application/pdf
Rozmiar:
407KB
Liczba pobrań:
Trwa wczytywanie
Plik pdf 5.pdf
12‑09‑2018 14:40:45
Trwa wczytywanie metryki. Proszę czekać.
Typ dokumentu:
application/pdf
Rozmiar:
384KB
Liczba pobrań:
Trwa wczytywanie
Plik pdf 6.pdf
12‑09‑2018 14:40:45
Trwa wczytywanie metryki. Proszę czekać.
Typ dokumentu:
application/pdf
Rozmiar:
417KB
Liczba pobrań:
Trwa wczytywanie
Plik pdf 7.pdf
12‑09‑2018 14:40:45
Trwa wczytywanie metryki. Proszę czekać.
Typ dokumentu:
application/pdf
Rozmiar:
539KB
Liczba pobrań:
Trwa wczytywanie
Plik pdf 8.pdf
12‑09‑2018 14:40:45
Trwa wczytywanie metryki. Proszę czekać.
Typ dokumentu:
application/pdf
Rozmiar:
259KB
Liczba pobrań:
Trwa wczytywanie
Plik pdf 9.pdf
12‑09‑2018 14:40:45
Trwa wczytywanie metryki. Proszę czekać.
Typ dokumentu:
application/pdf
Rozmiar:
353KB
Liczba pobrań:
Trwa wczytywanie
Plik pdf 10.pdf
12‑09‑2018 14:40:45
Trwa wczytywanie metryki. Proszę czekać.
Typ dokumentu:
application/pdf
Rozmiar:
308KB
Liczba pobrań:
Trwa wczytywanie
Plik pdf 11.pdf
12‑09‑2018 14:40:45
Trwa wczytywanie metryki. Proszę czekać.
Typ dokumentu:
application/pdf
Rozmiar:
268KB
Liczba pobrań:
Trwa wczytywanie

ZMIANA MIEJSCOWEGO PLANU ZAGOSPODAROWANIA PRZESTRZENNEGO WSI ROKICINY PODHALAŃSKIE W GMINIE RABA WYŻNA WRAZ Z PROGNOZĄ ODDZIAŁYWANIA NA ŚRODOWISKO

12‑09‑2018 14:11:53

- Tekst ustaleń zmiany planu zagospodarowania przestrzennego wsi Rokiciny Podhalańskie w Gminie Raba Wyżna

- Załączniki graficzne projektu zmiany planu wsi Rokiciny Podhalańskie w Gminie Raba Wyżna

- Tekst prognozy oddziaływania na środowisko

- Rysunki prgnozy oddziaływania na środowisko

Dokumenty:
Plik pdf 2018.09.05_ustalenia Rokiciny Podhalanskie.pdf
12‑09‑2018 14:19:08
Trwa wczytywanie metryki. Proszę czekać.
Typ dokumentu:
application/pdf
Rozmiar:
173KB
Liczba pobrań:
Trwa wczytywanie
Plik pdf Załącznik nr 1.pdf
12‑09‑2018 14:19:08
Trwa wczytywanie metryki. Proszę czekać.
Typ dokumentu:
application/pdf
Rozmiar:
738KB
Liczba pobrań:
Trwa wczytywanie
Plik pdf Załącznik nr 2.pdf
12‑09‑2018 14:19:08
Trwa wczytywanie metryki. Proszę czekać.
Typ dokumentu:
application/pdf
Rozmiar:
566KB
Liczba pobrań:
Trwa wczytywanie
Plik pdf Załącznik nr 3.pdf
12‑09‑2018 14:19:08
Trwa wczytywanie metryki. Proszę czekać.
Typ dokumentu:
application/pdf
Rozmiar:
675KB
Liczba pobrań:
Trwa wczytywanie
Plik pdf Załącznik nr 4.pdf
12‑09‑2018 14:19:08
Trwa wczytywanie metryki. Proszę czekać.
Typ dokumentu:
application/pdf
Rozmiar:
607KB
Liczba pobrań:
Trwa wczytywanie
Plik pdf Załącznik nr 5.pdf
12‑09‑2018 14:19:08
Trwa wczytywanie metryki. Proszę czekać.
Typ dokumentu:
application/pdf
Rozmiar:
628KB
Liczba pobrań:
Trwa wczytywanie
Plik pdf Załącznik nr 6_a.pdf
12‑09‑2018 14:19:08
Trwa wczytywanie metryki. Proszę czekać.
Typ dokumentu:
application/pdf
Rozmiar:
532KB
Liczba pobrań:
Trwa wczytywanie
Plik pdf Załącznik nr 6_b.pdf
12‑09‑2018 14:19:08
Trwa wczytywanie metryki. Proszę czekać.
Typ dokumentu:
application/pdf
Rozmiar:
1,9MB
Liczba pobrań:
Trwa wczytywanie
Plik pdf 2018-09-05_PONS_ZMIANA_MPZP_ROKICINY_PODHALANSKIE_TEKST.pdf
12‑09‑2018 14:19:08
Trwa wczytywanie metryki. Proszę czekać.
Typ dokumentu:
application/pdf
Rozmiar:
2,4MB
Liczba pobrań:
Trwa wczytywanie
Plik pdf 1.pdf
12‑09‑2018 14:19:08
Trwa wczytywanie metryki. Proszę czekać.
Typ dokumentu:
application/pdf
Rozmiar:
507KB
Liczba pobrań:
Trwa wczytywanie
Plik pdf 2.pdf
12‑09‑2018 14:19:08
Trwa wczytywanie metryki. Proszę czekać.
Typ dokumentu:
application/pdf
Rozmiar:
245KB
Liczba pobrań:
Trwa wczytywanie
Plik pdf 3.pdf
12‑09‑2018 14:19:08
Trwa wczytywanie metryki. Proszę czekać.
Typ dokumentu:
application/pdf
Rozmiar:
320KB
Liczba pobrań:
Trwa wczytywanie
Plik pdf 4.pdf
12‑09‑2018 14:19:08
Trwa wczytywanie metryki. Proszę czekać.
Typ dokumentu:
application/pdf
Rozmiar:
304KB
Liczba pobrań:
Trwa wczytywanie
Plik pdf 5.pdf
12‑09‑2018 14:19:08
Trwa wczytywanie metryki. Proszę czekać.
Typ dokumentu:
application/pdf
Rozmiar:
262KB
Liczba pobrań:
Trwa wczytywanie

ZMIANA MIESCOWEGO PLANU ZAGOSPODAROWANIA PRZESTRZENNEGO WSI RABA WYŻNA W GMINIE RABA WYŻNA WRAZ Z PROGNOZĄ ODDZIAŁYWANIA NA ŚRODOWISKO

12‑09‑2018 13:20:29

- Tekst ustaleń zmiany planu zagospodarowania przestrzennego wsi Raba Wyżna w Gminie Raba Wyżna

- Załączniki graficzne projektu zmiany planu wsi Raba Wyżna w Gminie Raba Wyżna

- Tekst prognozy oddziaływania na środowisko

- Rysunki prgnozy oddziaływania na środowisko

Dokumenty:
Plik pdf 2018.09.05_ustalenia Raba Wyżna.pdf
12‑09‑2018 13:52:36
Trwa wczytywanie metryki. Proszę czekać.
Typ dokumentu:
application/pdf
Rozmiar:
192KB
Liczba pobrań:
Trwa wczytywanie
Plik pdf Załącznik nr 1.pdf
12‑09‑2018 13:52:36
Trwa wczytywanie metryki. Proszę czekać.
Typ dokumentu:
application/pdf
Rozmiar:
1,7MB
Liczba pobrań:
Trwa wczytywanie
Plik pdf Załącznik nr 2.pdf
12‑09‑2018 13:52:36
Trwa wczytywanie metryki. Proszę czekać.
Typ dokumentu:
application/pdf
Rozmiar:
2MB
Liczba pobrań:
Trwa wczytywanie
Plik pdf Załącznik nr 3.pdf
12‑09‑2018 13:52:36
Trwa wczytywanie metryki. Proszę czekać.
Typ dokumentu:
application/pdf
Rozmiar:
1,8MB
Liczba pobrań:
Trwa wczytywanie
Plik pdf Załącznik nr 4.pdf
12‑09‑2018 13:52:36
Trwa wczytywanie metryki. Proszę czekać.
Typ dokumentu:
application/pdf
Rozmiar:
1MB
Liczba pobrań:
Trwa wczytywanie
Plik pdf Załącznik nr 5.pdf
12‑09‑2018 13:52:36
Trwa wczytywanie metryki. Proszę czekać.
Typ dokumentu:
application/pdf
Rozmiar:
695KB
Liczba pobrań:
Trwa wczytywanie
Plik pdf Załącznik nr 6.pdf
12‑09‑2018 13:52:36
Trwa wczytywanie metryki. Proszę czekać.
Typ dokumentu:
application/pdf
Rozmiar:
1 009KB
Liczba pobrań:
Trwa wczytywanie
Plik pdf Załącznik nr 7.pdf
12‑09‑2018 13:52:36
Trwa wczytywanie metryki. Proszę czekać.
Typ dokumentu:
application/pdf
Rozmiar:
1MB
Liczba pobrań:
Trwa wczytywanie
Plik pdf Załącznik nr 8_a.pdf
12‑09‑2018 13:52:36
Trwa wczytywanie metryki. Proszę czekać.
Typ dokumentu:
application/pdf
Rozmiar:
538KB
Liczba pobrań:
Trwa wczytywanie
Plik pdf Załącznik nr 8_b.pdf
12‑09‑2018 13:52:36
Trwa wczytywanie metryki. Proszę czekać.
Typ dokumentu:
application/pdf
Rozmiar:
3,4MB
Liczba pobrań:
Trwa wczytywanie
Plik pdf 2018-09-05_PONS_ZMIANA_MPZP_RABA_WYZNA_TEKST.pdf
12‑09‑2018 14:23:31
Trwa wczytywanie metryki. Proszę czekać.
Typ dokumentu:
application/pdf
Rozmiar:
3MB
Liczba pobrań:
Trwa wczytywanie
Plik pdf 1.pdf
12‑09‑2018 14:23:31
Trwa wczytywanie metryki. Proszę czekać.
Typ dokumentu:
application/pdf
Rozmiar:
693KB
Liczba pobrań:
Trwa wczytywanie
Plik pdf 2.pdf
12‑09‑2018 14:23:31
Trwa wczytywanie metryki. Proszę czekać.
Typ dokumentu:
application/pdf
Rozmiar:
1,1MB
Liczba pobrań:
Trwa wczytywanie
Plik pdf 3.pdf
12‑09‑2018 14:23:31
Trwa wczytywanie metryki. Proszę czekać.
Typ dokumentu:
application/pdf
Rozmiar:
966KB
Liczba pobrań:
Trwa wczytywanie
Plik pdf 4.pdf
12‑09‑2018 14:23:31
Trwa wczytywanie metryki. Proszę czekać.
Typ dokumentu:
application/pdf
Rozmiar:
502KB
Liczba pobrań:
Trwa wczytywanie
Plik pdf 5.pdf
12‑09‑2018 14:23:31
Trwa wczytywanie metryki. Proszę czekać.
Typ dokumentu:
application/pdf
Rozmiar:
456KB
Liczba pobrań:
Trwa wczytywanie
Plik pdf 6.pdf
12‑09‑2018 14:23:31
Trwa wczytywanie metryki. Proszę czekać.
Typ dokumentu:
application/pdf
Rozmiar:
353KB
Liczba pobrań:
Trwa wczytywanie
Plik pdf 7.pdf
12‑09‑2018 14:23:31
Trwa wczytywanie metryki. Proszę czekać.
Typ dokumentu:
application/pdf
Rozmiar:
806KB
Liczba pobrań:
Trwa wczytywanie

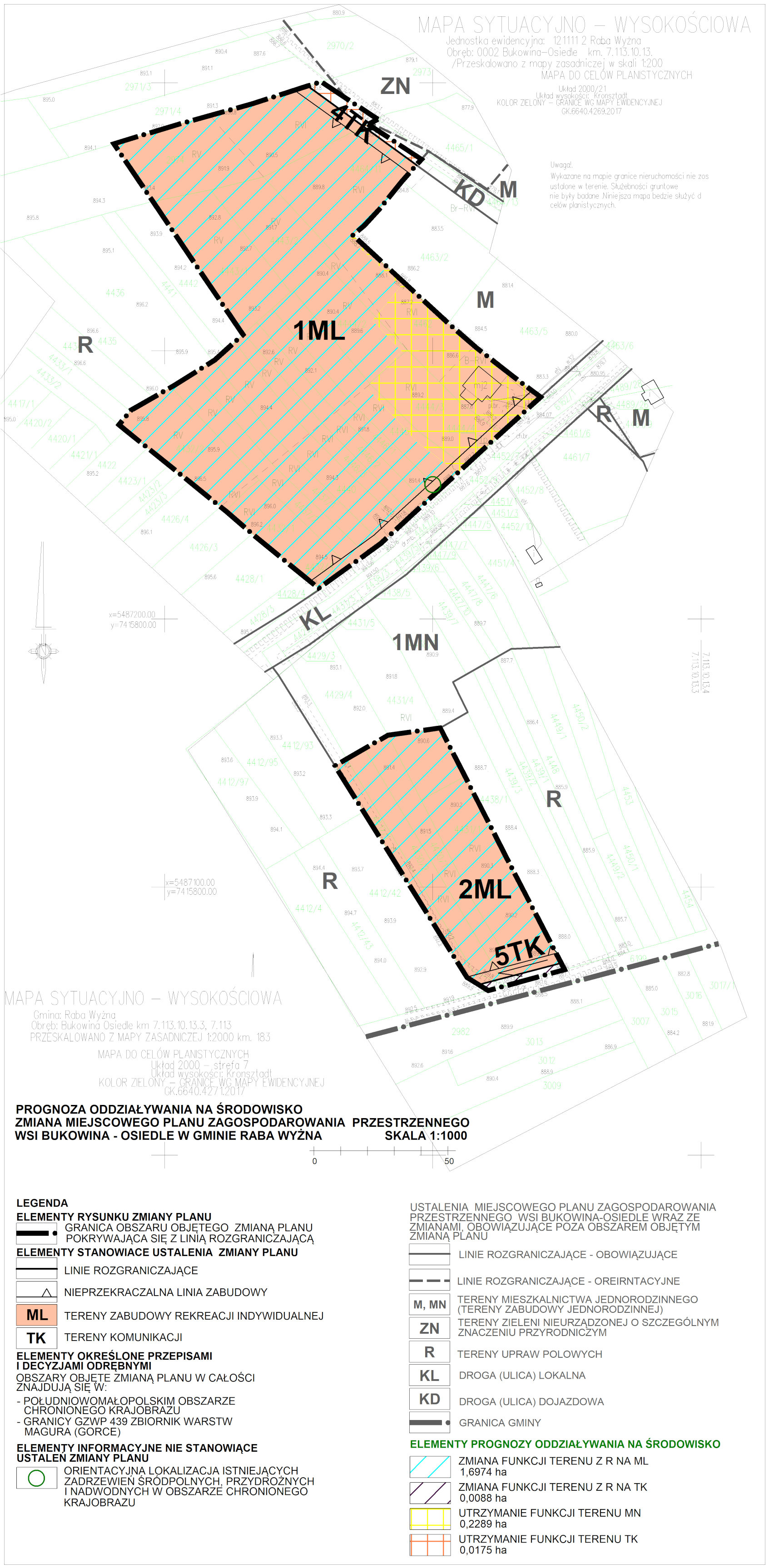
ZMIANA MIEJSCOWEGO PLANU ZAGOSPODAROWANIA PRZESTRZENNEGO WSI BUKOWINA-OSIEDLE W GMINIE RABA WYŻNA WRAZ Z PROGNOZĄ ODDZIAŁYWANIA NA ŚRODOWISKO

12‑09‑2018 12:19:34

- Tekst ustaleń zmiany planu zagospodarowania przestrzennego wsi Bukowina-Osiedle w Gminie Raba Wyżna

- Załączniki graficzne projektu zmiany planu wsi Bukowina-Osiedle w Gminie Raba Wyżna

- Tekst prognozy oddziaływania na środowisko

- Rysunki prgnozy oddziaływania na środowisko

Dokumenty:
Plik pdf 2018.09.05_ustalenia Bukowina-Osiedle.pdf
12‑09‑2018 12:31:34
Trwa wczytywanie metryki. Proszę czekać.
Typ dokumentu:
application/pdf
Rozmiar:
172KB
Liczba pobrań:
Trwa wczytywanie
Plik pdf Załącznik nr 1.pdf
12‑09‑2018 12:31:34
Trwa wczytywanie metryki. Proszę czekać.
Typ dokumentu:
application/pdf
Rozmiar:
2,1MB
Liczba pobrań:
Trwa wczytywanie
Plik pdf Załącznik nr 2.pdf
12‑09‑2018 12:32:03
Trwa wczytywanie metryki. Proszę czekać.
Typ dokumentu:
application/pdf
Rozmiar:
519KB
Liczba pobrań:
Trwa wczytywanie
Plik pdf Załącznik nr 3.pdf
12‑09‑2018 12:32:03
Trwa wczytywanie metryki. Proszę czekać.
Typ dokumentu:
application/pdf
Rozmiar:
337KB
Liczba pobrań:
Trwa wczytywanie
Plik pdf Załącznik nr 4.pdf
12‑09‑2018 12:32:03
Trwa wczytywanie metryki. Proszę czekać.
Typ dokumentu:
application/pdf
Rozmiar:
1,1MB
Liczba pobrań:
Trwa wczytywanie
Plik pdf 2018-09-05_PONS_ZMIANA_MPZP_BUKOWINA OSIEDLE_TEKST-a.pdf
12‑09‑2018 13:18:05
Trwa wczytywanie metryki. Proszę czekać.
Typ dokumentu:
application/pdf
Rozmiar:
2,1MB
Liczba pobrań:
Trwa wczytywanie
Plik jpg 1a.jpg
12‑09‑2018 13:18:05
Trwa wczytywanie metryki. Proszę czekać.
Typ dokumentu:
image/jpeg
Rozmiar:
493KB
Liczba pobrań:
Trwa wczytywanie
Plik jpg 2a.jpg
12‑09‑2018 13:18:05
Trwa wczytywanie metryki. Proszę czekać.
Typ dokumentu:
image/jpeg
Rozmiar:
990KB
Liczba pobrań:
Trwa wczytywanie
Plik jpg 3a.jpg
12‑09‑2018 13:18:05
Trwa wczytywanie metryki. Proszę czekać.
Typ dokumentu:
image/jpeg
Rozmiar:
561KB
Liczba pobrań:
Trwa wczytywanie

OGŁOSZENIE O WYŁOŻENIU PROJEKTÓW ZMIAN MIEJSCOWYCH PLANÓW ZAGOSPODAROWANIA PRZESTRZENNEGO W GMINIE RABA WYŻNA

05‑09‑2018 11:46:39

Raba Wyżna, dnia 06.09.2018r.

 

O G Ł O S Z E N I E

Wójta Gminy Raba Wyżna

o wyłożeniu do publicznego wglądu projektów:

 

  • zmiany miejscowego planu zagospodarowania przestrzennego wsi Bukowina – Osiedle w Gminie Raba Wyżna wraz z prognozą oddziaływania na środowisko;

  • zmiany miejscowego planu zagospodarowania przestrzennego wsi Podsarnie w Gminie Raba Wyżna wraz z prognozą oddziaływania na środowisko;

  • zmiany miejscowego planu zagospodarowania przestrzennego wsi Raba Wyżna w Gminie Raba Wyżna wraz z prognozą oddziaływania na środowisko;

  • zmiany miejscowego planu zagospodarowania przestrzennego wsi Rokiciny Pod­halańskie w Gminie Raba Wyżna wraz z prognozą oddziaływania na środowisko;

  • zmiany miejscowego planu zagospodarowania przestrzennego wsi Skawa w Gminie Raba Wyżna wraz z prognozą oddziaływania na środowisko;

Na podstawie art. 17 pkt 9 ustawy z dnia 27 marca 2003 r. o planowaniu i zagospodarowaniu przestrzennym (tekst jednolity Dz. U. z 2017r. poz. 1073 ze zm.) i art. 54 ust. 2 ustawy z dnia 3 października 2008r. o udostępnianiu informacji o środowisku i jego ochronie, udziale społeczeństwa w ochronie środowiska oraz o ocenach oddziaływania na środowisko (tekst jednolity Dz. U. z 2017r. Poz. 1405 ze zm.), a także w związku z uchwałami Rady Gminy Raba Wyżna w sprawie przystąpienia do sporządzenia zmiany w/w miejscowych planów zagospodarowania przestrzennego w gminie Raba Wyżna w granicach określonych w ich załącznikach graficznych; zawiadamiam o wyłożeniu do publicznego wglądu projektów wyżej wymienionych zmian miejscowych planów zagospodarowania przestrzennego w gminie Raba Wyżna wraz z ich prognozami oddziaływania na środowisko.

Projekty w/w zmian planów z prognozami oddziaływania na środowisko zostaną udostępnione do publicznego wglądu w dniach od 13.09.2018r. do 03.10.2018r. w Urzędzie Gminy Raba Wyżna (34-721 Raba Wyżna 41) w godzinach urzędowania.

Projekty zmiany planów wraz z prognozami zostaną również udostępnione na stronie internetowej: www.rabawyzna.pl

Dyskusja publiczna nad rozwiązaniami przyjętymi w projektach zmiany planów zostanie przeprowadzona w dniu 18 września 2018 r. w Urzędzie Gminy Raba Wyżna, początek o godz. 1100.

Zgodnie z art. 18 ust. 1-3 ustawy o planowaniu i zagospodarowaniu przestrzennym oraz art. 54 ust. 3 ustawy o udostępnianiu informacji o środowisku i jego ochronie, udziale społeczeństwa w ochronie środowiska oraz o ocenach oddziaływania na środowisko, każdy ma prawo złożenia uwag do projektu zmiany planu i prognozy oddziaływania na środowisko.

Uwagi należy składać w nieprzekraczalnym terminie do dnia 17.10.2018r. z podaniem imienia i nazwiska lub nazwy jednostki organizacyjnej, adresu oraz oznaczeniem nieruchomości, której uwaga dotyczy.

Uwagi można wnosić:

- na piśmie w Urzędzie Gminy Raba Wyżna na Dziennik Podawczy,

- drogą pocztową na adres: Urząd Gminy Raba Wyżna, 34-721 Raba Wyżna.

- drogą elektroniczną: za pośrednictwem elektronicznej platformy usług administracji publicznej ePUAP lub opatrzone bezpiecznym kwalifikowanym podpisem elektronicznym.

Wójt Gminy Raba Wyżna

mgr Andrzej Dziwisz

Liczba pobrań
Trwa wczytywanie metryki. Proszę czekać.

OGŁOSZENIE O PRZYSTAPIENIU DO ZMIANY MIEJSCOWEGO PLANU ZAGOSPODAROWANIA PRZESTRZENNEGO WSI SKAWA W GMINIE RABA WYŻNA

02‑10‑2017 08:16:36

Raba Wyżna, dnia 02.10.2017r.

OGŁOSZENIE WÓJTA GMINY RABA WYŻNA

o przystąpieniu do sporządzenia zmiany miejscowego planu zagospodarowania przestrzennego wsi Skawa w Gminie Raba Wyżna

Na podstawie art. 17 pkt. 1 ustawy z dnia 27 marca 2003 r. o planowaniu i zagospodarowaniu przestrzennym (tekst jednolity Dz. U. z 2017r. poz. 1073) oraz art. 39 ust. 1 pkt. 1 i 3 ustawy z dnia 3 października 2008 r. o udostępnianiu informacji o środowisku i jego ochronie, udziale społeczeństwa w ochronie środowiska oraz o ocenach oddziaływania na środowisko (tekst jednolity Dz. U. 2017r. poz. 1405 z późniejszymi zmianami) zawiadamiam o podjęciu przez Radę Gminy Raba Wyżna Uchwały NR XXXI/257/2017 w dniu 30 maja 2017r. w sprawie przystąpienia do sporządzenia zmiany miejscowego planu zagospodarowania przestrzennego wsi Skawa w Gminie Raba Wyżna.

Zainteresowani mogą składać wnioski do wyżej wymienionej zmiany planu miejscowego.

Wnioski należy składać na piśmie w Urzędzie Gminy Raba Wyżna (dziennik podawczy) lub na adres: Urząd Gminy Raba Wyżna, 34-721 Raba Wyżna 41, w terminie do dnia 31.10.2017r.

Wniosek powinien zawierać nazwisko, imię, nazwę i adres wnioskodawcy, przedmiot wniosku oraz oznaczenie nieruchomości, której dotyczy.

Wójt Gminy Raba Wyżna

(-) mgr Andrzej Dziwisz

Liczba pobrań
Trwa wczytywanie metryki. Proszę czekać.

OGŁOSZENIE O PRZYSTAPIENIU ZMIANY MIEJSCOWEGO PLANU ZAGOSPODAROWANIA PRZESTRZENNEGO WSI RABA WYŻNA, ROKICINY PODHALAŃSKIE, SIENIAWA I PODSARNIE W GMINIE RABA WYŻNA

02‑10‑2017 08:21:30

Raba Wyżna, dnia 02.10.2017r.

OGŁOSZENIE WÓJTA GMINY RABA WYŻNA

o przystąpieniu do sporządzenia zmiany miejscowego planu zagospodarowania przestrzennego wsi Raba Wyżna, Rokiciny Podhalańskie, Sieniawa i Podsarnie w Gminie Raba Wyżna

Na podstawie art. 17 pkt. 1 ustawy z dnia 27 marca 2003 r. o planowaniu i zagospodarowaniu przestrzennym (tekst jednolity Dz. U. z 2017r. poz. 1073) oraz art. 39 ust. 1 pkt. 1 i 3 ustawy z dnia 3 października 2008 r. o udostępnianiu informacji o środowisku i jego ochronie, udziale społeczeństwa w ochronie środowiska oraz o ocenach oddziaływania na środowisko (tekst jednolity Dz. U. 2017r. poz. 1405 z późniejszymi zmianami) zawiadamiam o podjęciu przez Radę Gminy Raba Wyżna uchwały Nr XXXI/256/2017 w dniu 30 maja 2017r. w sprawie przystąpienia do sporządzenia zmiany miejscowego planu zagospodarowania przestrzennego wsi Raba Wyżna, Rokiciny Podhalańskie, Sieniawa i Podsarnie w Gminie Raba Wyżna.

Zainteresowani mogą składać wnioski do wyżej wymienionej zmiany planu miejscowego.

Wnioski należy składać na piśmie w Urzędzie Gminy Raba Wyżna (dziennik podawczy) lub na adres: Urząd Gminy Raba Wyżna, 34-721 Raba Wyżna 41, w terminie do dnia 31.10.2017r.

Wniosek powinien zawierać nazwisko, imię, nazwę i adres wnioskodawcy, przedmiot wniosku oraz oznaczenie nieruchomości, której dotyczy.

Wójt Gminy Raba Wyżna

(-) mgr Andrzej Dziwisz

Liczba pobrań
Trwa wczytywanie metryki. Proszę czekać.

OGŁOSZENIE O PRZYSTAPIENIU DO SPORZĄDZENIA ZMIANY MIEJSCOWEGO PLANU ZAGOSPODAROWANIA PRZESTRZENNEGO WSI BUKOWINA-OSIEDLE W GMINIE RABA WYŻNA

02‑10‑2017 08:26:26

Raba Wyżna, dnia 02.10.2017r.

OGŁOSZENIE WÓJTA GMINY RABA WYŻNA

o przystąpieniu do sporządzenia zmiany miejscowego planu zagospodarowania przestrzennego wsi Bukowina-Osiedle w Gminie Raba Wyżna

Na podstawie art. 17 pkt. 1 ustawy z dnia 27 marca 2003 r. o planowaniu i zagospodarowaniu przestrzennym (tekst jednolity Dz. U. z 2017r. poz. 1073) oraz art. 39 ust. 1 pkt. 1 i 3 ustawy z dnia 3 października 2008 r. o udostępnianiu informacji o środowisku i jego ochronie, udziale społeczeństwa w ochronie środowiska oraz o ocenach oddziaływania na środowisko (tekst jednolity Dz. U. 2017r. poz. 1405 z późniejszymi zmianami) zawiadamiam o podjęciu przez Radę Gminy Raba Wyżna Uchwały NR XXXI/255/2017 w dniu 30 maja 2017r. w sprawie przystąpienia do sporządzenia zmiany miejscowego planu zagospodarowania przestrzennego wsi Bukowina-Osiedle w Gminie Raba Wyżna.

Zainteresowani mogą składać wnioski do wyżej wymienionej zmiany planu miejscowego.

Wnioski należy składać na piśmie w Urzędzie Gminy Raba Wyżna (dziennik podawczy) lub na adres: Urząd Gminy Raba Wyżna, 34-721 Raba Wyżna 41, w terminie do dnia 31.10.2017r.

Wniosek powinien zawierać nazwisko, imię, nazwę i adres wnioskodawcy, przedmiot wniosku oraz oznaczenie nieruchomości, której dotyczy.

Wójt Gminy Raba Wyżna

(-) mgr Andrzej Dziwisz

Liczba pobrań
Trwa wczytywanie metryki. Proszę czekać.

OGŁOSZENIE O PRZYSTĄPIENIU DO ZMIANY MIEJSCOWEGO PLANU ZAGOSPODAROWANIA PRZESTRZENNEGO WSI RABA WYŻNA, ROKICINY PODHALAŃSKIE, SIENIAWA I PODSARNIE W GMINIE RABA WYŻNA

29‑09‑2017 09:08:32

Raba Wyżna, dnia 02.10.2017r.

OGŁOSZENIE WÓJTA GMINY RABA WYŻNA

o przystąpieniu do sporządzenia zmiany miejscowego planu zagospodarowania przestrzennego wsi Raba Wyżna, Rokiciny Podhalańskie, Sieniawa i Podsarnie w Gminie Raba Wyżna

Na podstawie art. 17 pkt. 1 ustawy z dnia 27 marca 2003 r. o planowaniu i zagospodarowaniu przestrzennym (tekst jednolity Dz. U. z 2017r. poz. 1073) oraz art. 39 ust. 1 pkt. 1 i 3 ustawy z dnia 3 października 2008 r. o udostępnianiu informacji o środowisku i jego ochronie, udziale społeczeństwa w ochronie środowiska oraz o ocenach oddziaływania na środowisko (tekst jednolity Dz. U. 2017r. poz. 1405 z późniejszymi zmianami) zawiadamiam o podjęciu przez Radę Gminy Raba Wyżna uchwały Nr XXXI/256/2017 w dniu 30 maja 2017r. w sprawie przystąpienia do sporządzenia zmiany miejscowego planu zagospodarowania przestrzennego wsi Raba Wyżna, Rokiciny Podhalańskie, Sieniawa i Podsarnie w Gminie Raba Wyżna.

Zainteresowani mogą składać wnioski do wyżej wymienionej zmiany planu miejscowego.

Wnioski należy składać na piśmie w Urzędzie Gminy Raba Wyżna (dziennik podawczy) lub na adres: Urząd Gminy Raba Wyżna, 34-721 Raba Wyżna 41, w terminie do dnia 31.10.2017r.

Wniosek powinien zawierać nazwisko, imię, nazwę i adres wnioskodawcy, przedmiot wniosku oraz oznaczenie nieruchomości, której dotyczy.

Wójt Gminy Raba Wyżna

(-) mgr Andrzej Dziwisz

Brak dokumentów
Trwa wczytywanie metryki. Proszę czekać.
Liczba komunikatów archiwalnych: 161 Numer strony: 4  5  6  7  8  .. 17
Informacja wytworzona przez:
Lucyna Kosek , w dniu:  08‑12‑2010 11:08:00
Informacja wprowadzona do BIP przez:
Robert Migiel
email: sekretarz@rabawyzna.pl tel.:(18) 2691269 fax: (18) 2691251
, w dniu:  08‑12‑2010 11:08:00
Data ostatniej aktualizacji:
15‑11‑2023 11:48:26
Ilość wyświetleń:
Trwa wczytywanie
Wczytywanie danych...
Lp. Rodzaj zmiany Data aktualizacji Wytworzono przez Wprowadzono przez Akcje
Wczytaj kolejne wersje artykułu
Pokaż archiwalne komunikaty publikowane na tej stronie